Den sårbare arten brannbarktege ble i sommer registrert på en fersk brannflate i furuskog i Follsjå-landskapet i Notodden. Dette er første funn av arten sør for Nordland på 125 år! Brannbarktegen ble funnet ved kartlegging av insekter på en brannflate etter en brannøvelse i furuskogen.
Historisk har brannbarktege hatt en større utbredelse både i Norge og i Sverige, men regnes nå som mer eller mindre forsvunnet fra de søndre delene av begge landene. I Norge ble arten i siste halvdel av 1800-tallet påvist i noen få funn spredt fra Østlandet nordover til Finnmark. De to siste funnene av brannbarktege i Norge er gjort i henholdsvis Saltdal i Nordland i 1972 og i Neiden i Sør-Varanger i 2010. I Sverge ble den på 1990-tallet påvist på flere ferske brannflater i nordlige deler av landet (Ahnlund og Lindhe 1992, Wikars 1997). Brannbarktege står som sårbar på den norske rødlisten.

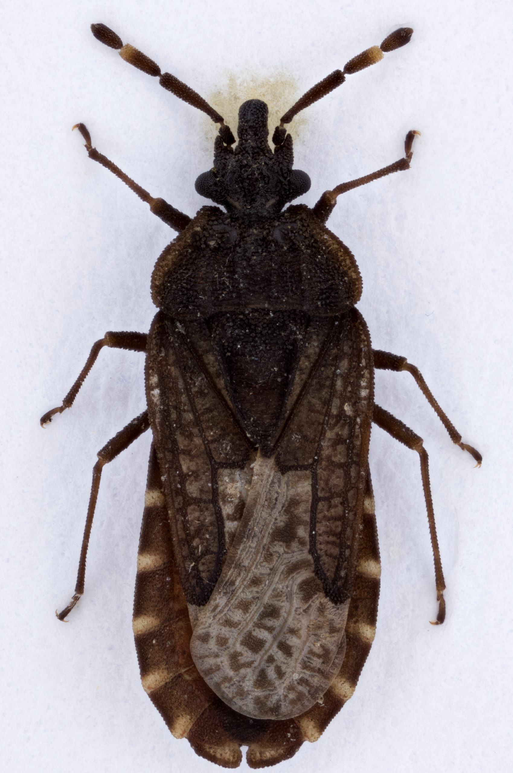
Brannbarktege (Aradus lugubris). Foto: Stefan Olberg
Brannavhengig art
Brannbarktege ser ikke ut å være sterkt knyttet til spesielle treslag og er tidligere funnet på brent gran, bjørk, furu og osp, men den ser ut til å foretrekke tynne brente bjørke- og granstammer. Men det er helt tydelig at arten trenger skogbrann for å overleve i landskapet på sikt.
Etter en brannøvelse i furuskog i Follsjå-landskapet i Notodden i april 2021 ble det bevilget midler til Biofokus for å undersøke hvordan insektmangfoldet knyttet til brannflater responderte på den påsatte brannen. Det ble plassert ut fallfeller, vindusfeller og et malaisetelt, som alle skulle dokumentere insektmangfoldet i området.
Innenfor den lille brannflaten ved Fjelltjønn i Notodden var det et par små bjørketrær og noen få unge grantrær innenfor området som ble brent, ellers var det ren furuskog. De små grantrærne og bjørkebuskene ble offer for brannen, men ingen av furutrærne døde. Noen tynne, døde stammer lå i terrenget før brannen ble påsatt, og utgjorde derfor det lille som var av død ved innenfor brannflaten. I en av fallfellene ble det fanget ett eksemplar av brannbarktege, og dette er altså det første funnet av denne arten sør for Nordland på 125 år.

Fallfelle på brent bakke ved furu. Foto: Stefan Olberg
Funnet er svært viktig i vår forståelse av denne artens utbredelse i landet. Arten er mest sannsynlig en veldig sterk og aktiv flyver, men den har neppe flydd helt fra Nordland der den sist ble registrert. Dette tyder på at arten har overlevd i Notodden-området på de få og spredte skogbrannområdene som oppstår år om annet. Funnet føyer seg fint inn i rekken av mangfoldet av brannavhengige insektarter som er påvist på brannflater i furuskogene i Notodden de siste årene.
De artsrike furuskogene i Notodden er på lang sikt helt avhengig av at deler av skogen brenner, ikke bare for å ivareta de mange artene som profilerer på skogbrann, men også for at skogstrukturene og den spesielle furuskogen som oppstår etter århundrer med brannpåvirkning skal bestå. Dagens flatehogster og granplanteringer, samt et nesten fravær av skogbrann, utgjør derfor en stor trussel mot naturfuruskogene i Notodden.





Du må være logget inn for å legge inn en kommentar.